全日制小學
各項申請會由校舍分配委員會甄選。該 委員會的成員
(8 KB)包括教育署的人員,以及一些來自香港教育界的非政府人員。[參考資料:委員會的權責範圍
(49 KB)]。
遞交申請書: 請在二零零二年十月十五日或之前遞交十五份轉制計劃書以及一份其他文件。申辦團體亦可提交十五份光碟或磁碟。
(53 KB)
可供辦學團體轉作全日制學校的小學校舍 (截至二零零二年十一月廿七日)
圖表簡介
(19 KB)
|
編號
|
所屬區域
|
地點
|
學校設計/課室數目
註1
|
預計落成日期
註2
|
|---|---|---|---|---|
|
C1
|
北區
|
粉嶺第36區(校舍2) (738 KB)
|
按照2000年的標準設計
設有30個課室 |
8/2003
|
|
C2
註 3 |
西貢
|
將軍澳第73A區 (887 KB)
|
按照2000年的標準設計
設有30個課室 |
12/2003
|
|
C3
|
九龍城
|
何文田邨重建第4期 (769 KB)
|
按照2000年的標準設計
設有30個課室 |
7/2005
|
|
C4
|
港島東
|
柴灣新夏街 (817 KB)
|
按照2000年的標準設計
設有24個課室 |
2004 或 2005
|
|
C6
註 3 & 4 |
元朗
|
元朗舊墟第16區 (865 KB)
|
按照2000年的標準設計
設有30個課室 |
2005
|
|
C7
|
荃灣
|
荃灣老圍公立學校舊址 (932 KB)
|
非標準設計
設有12或18個課室 |
2007年中
|
|
C8
|
深水埗
|
長沙灣興華街與長沙灣道交界(臨時停車場) (802 KB)
|
按照2000年的標準設計
設有36個課室 |
2006
|
|
C9
|
九龍城
|
東南九龍用地1A(校舍1) (880 KB)
|
按照2000年的標準設計
設有30個課室 |
2006
|
|
C10
|
九龍城
|
東南九龍用地1A(校舍2) (880 KB)
|
按照2000年的標準設計
設有30個課室 |
2006
|
|
C11
|
九龍城
|
東南九龍用地1C(校舍1) (888 KB)
|
按照2000年的標準設計
設有30個課室 |
2007
|
|
C12
|
屯門
|
屯門掃管笏第55A區(校舍2) (885 KB)
|
非標準設計
設有30個課室 |
2007
|
|
C13
註 3 |
元朗
|
天水圍第104區(校舍1) (82 KB)
|
按照2000年的設計
設有30個課室 |
2005
|
|
C14
註 3 |
元朗
|
天水圍第104區(校舍2) (82 KB)
|
非標準設計
設有30個課室 |
2006
|
|
C15
|
港島東
|
鰂魚涌林邊 (177 KB)
|
非標準設計
設有30個課室 |
2007
|
|
C16
|
南區
|
薄扶林道與域多利道交界 (165 KB)
|
非標準設計
設有30個課室 |
2007
|
|
C17
|
深水埗
|
西九龍填海第10用地(校舍1) (71 KB)
|
按照2000年的標準設計
設有36個課室 |
2006
|
|
C18
註 3 |
西貢
|
將軍澳第13區 (174 KB)
|
按照2000年的標準設計
設有30個課室 |
8/2004
|
|
C19
|
葵青
|
石籬邨重建第11期 (161 KB)
|
非標準設計
設有30個課室 |
2005
|
|
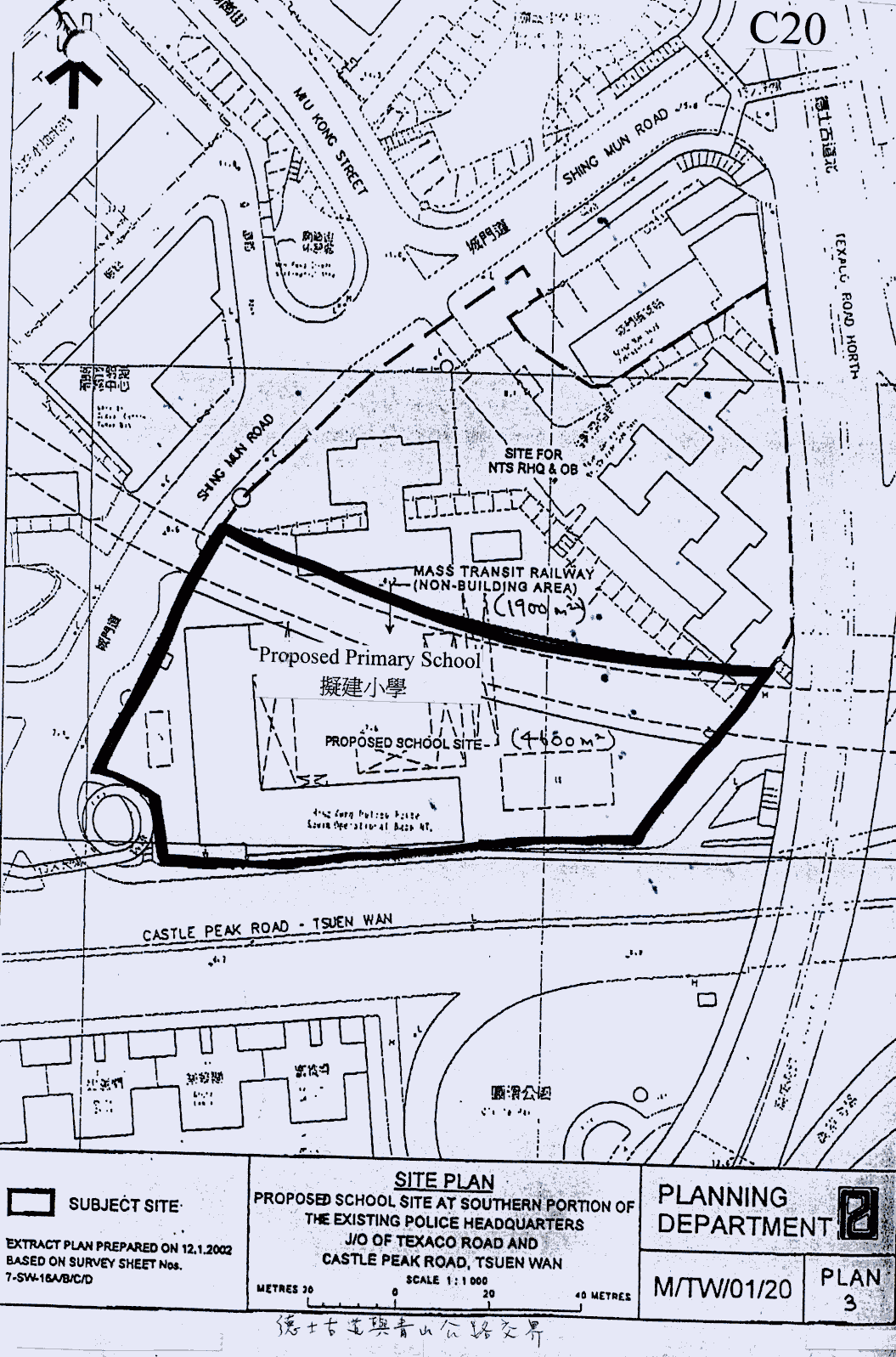
C20
|
荃灣
|
非標準設計
設有36個課室 |
2007
|
|
|
C21
|
荃灣
|
荃灣深井 (181 KB)
|
非標準設計
設有30個課室 |
2007
|
|
C22
|
荃灣
|
Tsing Lung Tau (Hong Kong Garden) (189 KB)
|
非標準設計
設有18個課室 |
2007
|
|
C23
|
屯門
|
屯門第54區(第1所校舍) (202 KB)
|
非標準設計
設有30個課室 |
2006
|
|
C24
|
元朗
|
元朗天水圍第13區天成道與天柏道交界 (199 KB)
|
非標準設計
設有24個課室 |
2006
|
|
C25
|
元朗
|
元朗第12區(校舍1) (122 KB)
|
非標準設計
設有36個課室 |
2006
|
|
C26
|
元朗
|
元朗第13區(校舍1) (315 KB)
|
非標準設計
設有30個課室 |
2007
|
|
C27
|
元朗
|
元朗第13區(校舍2) (315 KB)
|
非標準設計
設有30個課室 |
2007
|
|
C28
|
元朗
|
元朗第13區(校舍3) (315 KB)
|
非標準設計
設有30個課室 |
2007
|
|
V1#
|
港島東
|
雲景道22號伊斯蘭書院舊址 (105 KB)
|
25個課室
(面積約2,500平方米) |
2006
|
|
V2#
|
港島東
|
華廈街9號勵致會馮瑞璋紀念小學舊址 (216 KB)
|
21個課室
(面積約3,500平方米) |
2006
|
|
V3#
|
南區
|
薄扶林道162號薄扶林官立小學舊址 (154 KB)
|
18個課室
(面積約1,900平方米) |
2006
|
|
V4#
|
九龍城
|
青州街九龍船塢紀念學校舊址 (131 KB)
|
12個課室
(面積約3,600平方米) |
2007
|
|
V5#
|
九龍城
|
紅磡鶴園街資源中心 (83 KB)
|
18個課室
(面積約2,600平方米) |
2007
|
|
V6#
|
九龍城
|
何文田巴富街資源中心 (115 KB)
|
18個課室
(面積約2,000平方米) |
2007
|
備註:
|
1.
|
採用標準或非標準設計,受技術可行性、時間等因素影響。非標準設計校舍之設備與2000標準設計學校相同。
|
|
|
2.
|
校舍落成及可供開校日期受各種因素影響,包括技術可行性研究結果、規劃是否獲得批准、公眾諮詢結果、財政狀況以及立法會財務委員會是否撥款。
|
|
|
3.
|
可與相鄰學校共用部分設施,例如足球場等。
|
|
|
4.
|
這所小學可與毗鄰中學一併分配給同一申請團體,以便實施「一條龍」連繫安排。
|
|
# 這六所舊校舍這六所舊校舍只供上下午班制小學轉全日制辦學之用,目前使用者會暫訂在2006年中/尾遷出。實際工程範圍(例如內部翻新規模)須視乎技術可行性。